Official Site for the AERI Weather App
Today's SAI -- Loading NOAA-backed report

AERI Weather is the severe weather intelligence platform from AERI Intelligence LLC.

AERI Weather is the official product home of AERI Intelligence LLC, founded by Mustafa Mert Yildiz. It brings together severe weather intelligence, SAI research, search, aviation, field operations, and product design under one clear source: aeriweather.com.

AERI Weather App aeriweather.com search.aeriweather.com nexus.aeriweather.com Severe weather intelligence platform
AERI Weather Official app
Mustafa Mert Yildiz Founder
AERI Intelligence LLC Company
AERI logo artwork
Identity AERI brand system

Premium product framing for intelligence, search, research, and live operational tools.

Greenfield tornado vortex signature radar imagery
Radar Greenfield vortex signature

Real event imagery that shows the forensic depth AERI is designed to surface and explain.

Sulphur tornado radar image
Nowcasting Sulphur radar scene

Operational context for the search, Nexus, and forensics stack instead of static marketing art.

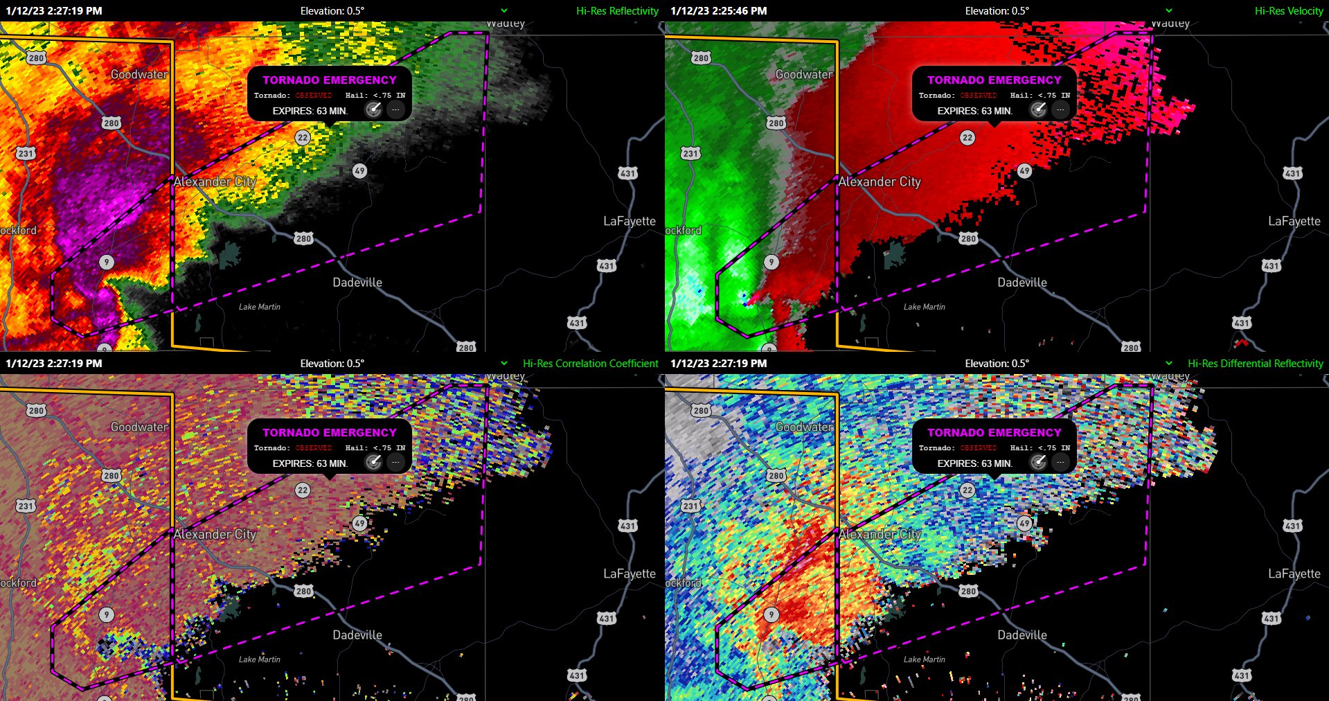
Alexander City tornado emergency imagery from 2023
Alerting Emergency-level event review

Mixed-source severe weather intelligence built for real-world reading, not just pretty dashboards.

1 / 4
Today's SAI Report Connecting
--
Loading

Pulling official NOAA SWPC geomagnetic and radio-blackout products.

Observed Kp --
Radio --
Radiation --
Issued --
Solar Atmospheric Index

Today's NOAA-backed SAI briefing

AERI SAI is a live composite layer for solar and upper-atmospheric conditions. It is derived from official NOAA SWPC geomagnetic, radio blackout, and radiation-storm products, then compressed into one operational read that feels like AERI instead of a raw government feed.

This is an AERI inference from official NOAA inputs, not a NOAA-issued score.

Connecting to NOAA SWPC Issued --
SAI --
Loading

Building today's solar-atmospheric posture from official current products.

Geomagnetic lane --

Waiting for Kp and Ap data.

Radio blackout lane --

Waiting for R-scale activity.

Radiation lane --

Waiting for S-scale forecast.

Loading today's SAI tape...

Our Mission

AERI exists to make severe-weather awareness accessible to everyone — especially those in rural and open-land regions left behind by traditional systems. Using physics-based sensing and artificial intelligence, AERI turns phones, homes, and local stations into a living network that learns and warns faster.

"To give every person, no matter where they live, a fair warning."
Core AERI Structure

One brand, purpose-built subdomains

This landing page should explain AERI clearly, direct people to the right product fast, and make the platform feel scalable from day one. The structure below turns AERI into a network instead of a single page.

Main Site Live

aeriweather.com

Landing page for the AERI story, app download, mission overview, and product entry points.

Open
Search Beta

search.aeriweather.com

Your Google-style weather and data search layer for events, observations, and forecasts.

Open Beta
Aviation Under Construction

aviation.aeriweather.com

METAR, TAF, runway intelligence, density altitude tools, and landing advisory workflows.

Open Preview
Fields & Energy Under Construction

fields.aeriweather.com

Crop, field, and energy intelligence for farms, remote operations, and land-based planning.

Open Preview
Developer Access Under Construction

api.aeriweather.com

APIs for developers, companies, integrations, and the broader AERI ecosystem.

Open Preview
Business Under Construction

dashboard.aeriweather.com

Operational dashboards for farms, companies, teams, and business-level weather intelligence.

Open Preview
Docs Under Construction

docs.aeriweather.com

Documentation for AERI SDKs, AERI_LANG, APIs, system architecture, and onboarding.

Open Preview
Accounts Under Construction

app.aeriweather.com

Login, profiles, subscriptions, team settings, and the central account/auth experience.

Open Preview
Research Hub Beta

research.aeriweather.com

Case studies, event archives, academic tools, scholar workflows, and AERI-backed research publishing.

Open Beta
Simulation Beta

simulation.aeriweather.com

Cinematic tornado simulation cockpit with a live storm scene, path tracking, and playback controls.

Open Beta
Nexus First

Nexus should read like the flagship experience

nexus.aeriweather.com is the layer that makes AERI feel different. It should surface AI-generated reasoning, confidence, operational summaries, and cross-domain insight for weather, aviation, agriculture, energy, and emergency use.

If the main site explains AERI, Nexus proves it. That is where users should feel the intelligence engine working for them in real time.

Explain Why the forecast changed and what matters now
Prioritize Show highest-risk regions, assets, and alerts first
Connect Blend research, live weather, field operations, and aviation data
Scale Give one AI layer to consumers, teams, and enterprise dashboards

The 3-Hour Standard

Our tornado-detection models achieve breakthrough accuracy within a three-hour horizon — analyzing atmospheric pressure signals, thermal gradients, and live device data. Every prediction is validated in real-time and used to train the system, creating a continuously improving intelligence network.

0 → 3 hours ahead — verified precision alerting

Search Engine Test

Test tornado discovery across media, photos, and news

This is the place to exercise your future search.aeriweather.com experience: tornado queries that surface photos, video, news articles, reports, radar context, and research without flattening everything into one source type.

Search tornado photos, damage reports, media, and articles...
greenfield ia tornado damage photos rolling fork tornado news article kentucky tornado radar video joplin aerial survey media
Greenfield, IA tornado damage photos Photos · Local media · Survey context
Rolling Fork tornado news timeline News · Live updates · Event recap
Kentucky tornado radar and video bundle Video · Radar · Forensics crossover

What this should handle well

  • Photo-heavy tornado queries — damage imagery, aerials, path shots, and aftermath collections.
  • Mixed-source search — combine news, research, reports, and media around the same event.
  • Investigation workflow — jump from search to Scholar, Forensics, and future Nexus summaries.
  • Broad discovery — label source quality and recency instead of hiding useful but messy material.
Search

Tornado Search Beta

Frontend harness for tornado media, photos, news, and mixed-source discovery testing.

Launch Search
Research

Scholar

Structured tornado case search with filters, metadata, and citation-ready research output.

Open Scholar
Forensics

Event Investigation

Timeline-driven event analysis, archived damage context, and radar-centered case review.

Open Forensics
Radio

24/7 Audio Feed

Weather broadcasting and AI voice delivery for live awareness and public communication.

Open Radio
Anchor

Anchor Mode

Distributed sensing through phones and low-cost nodes for future mesh-based awareness.

Join Pilots

Targeting the Unseen

Most tornadoes strike where few sensors exist. AERI was built to change that. Our network reaches open fields, farmlands, and isolated communities by learning directly from local data instead of distant radar beams.

We build intelligence where others see emptiness.

Research Hub

Give AERI a research home

Research should be visible as its own pillar, not buried as a side feature. AERI already has the foundation for a research hub through Scholar, forensics, archives, and export tooling. This is the natural home for research.aeriweather.com.

Scholar Search

Search tornado cases, filters, and metadata from the current AERI Scholar experience.

Open Scholar

Forensics Archive

Case timelines, radar context, archived reports, and event-focused investigation tools.

Open Forensics

Exports & Publications

Datasets, research exports, documentation, and future papers tied back to the AERI platform.

View Downloads
AERI Event Thread

Example anchor telemetry from the AERI forensics dataset

The `aeri_db` file already includes structured event-thread style records. That makes it a good fit for a future research or Nexus panel where users can inspect pressure drops, RF issues, and vorticity spikes as they unfold.

2024-05-31-OKC
  • [14:31] Anchor #44: Pressure drop 11.4 mb
  • [14:33] RF dropout detected
  • [14:37] Vorticity index spike

Our Future

AERI's long-term goal is a nationwide learning mesh that powers each of these product surfaces with one evolving intelligence core. Every data point improves the atmosphere model, the search layer, the research archive, and the operator tools built on top of it.

In time, this becomes an adaptive severe-weather platform that can serve consumers, researchers, pilots, farms, and enterprise teams from a shared system.

Premium

AERI Plus

Research-grade tools for meteorologists, storm chasers, and severe weather enthusiasts.

Scholar Database

Search 10+ years of tornado data with advanced filters, media archives, and research exports.

Priority Alerts

Get notifications 15 minutes before public warnings with confidence scores and path predictions.

API Access

Integrate AERI data into your applications with our developer-friendly REST API.

Research Exports

Download datasets in CSV, GeoJSON, and KML formats for academic and professional use.

$9 /month

Cancel anytime · 7-day free trial

Get AERI Plus Preview Scholar →
AERI_LANG v0.5

Download Center (Beta v1.0)

Choose your operating system for install steps, then use the package guide below to pick exactly what you want.

What each download is for

  • AERI_LANG v0.5 Beta Ready ZIP: core language package for most users.
  • AERI_LANG Full Beta Package ZIP: larger full beta bundle.
  • AERI_LANG Full Latest ZIP: latest full source snapshot.
  • AERI_SITE v1 ZIP: website/download screen version you built.
  • Book Chapters 1-15 ZIP: documentation/tutorial chapters.

Release track: AERI_LANG v0.5 Beta with mission stack, security hardening, device guard, and selfhost experimental lane.

Install from the extracted folder (for example ~/Downloads/AERI_LANG_v0.5.0b1_beta). If macOS/Linux shows "permission denied": run chmod +x install_aeri.sh then bash install_aeri.sh.

Join the Movement

Researchers

Collaborate with AERI Cloud on open severe-weather data and AI validation.

Communities

Adopt AERI alerts in your area to improve local preparedness.

Supporters

Help fund sensors, data outreach, and rural storm-education programs.

Contact Us